1818 State Route 104 Ontario, NY 14519

Other MLS #: R1655138 Courtesy Of RE/MAX Realty Group

Property InformationDescription

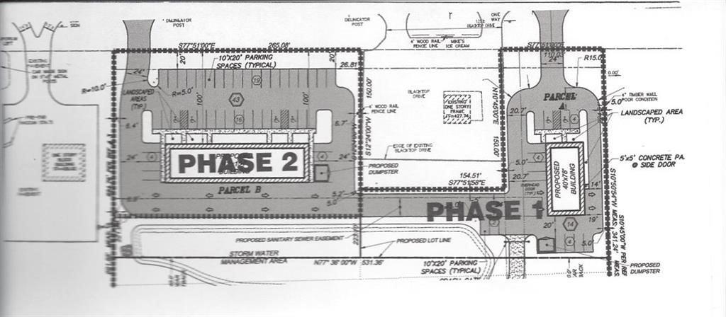
Commercial lot! can be sold with adjacent lot for a total of 2.6 acres ($348,000). Highly visible retail development site on busy Route #104 in Ontario. This property boarders on the new townhome development site (which has a total of 48 units ranging in price from $189,000-$275,000- which many do not have basements - so a storage facility would be perfect in this area). This property is pre-engineered to accommodate 3 pads or one pad and a strip plaza. All utilities are on site! Many commercial business opportunities permitted per Town Code! Traffic counts of over 22,000 cars per day! This parcel represents #1 in the attached foot print.
MORTGAGE CALCULATOR

Features

  • MLSID: R1655138

MAP & DIRECTIONS

Get Directions
1818 State Route 104, Ontario, NY 14519
View Directions
Copyright © 2025 New York State Alliance of MLSs, LLC. All rights reserved. All information provided by the listing agent/broker is deemed reliable but is not guaranteed and should be independently verified. Information being provided is for consumers' personal, non-commercial use and may not be used for any purpose other than to identify prospective properties consumers may be interested in purchasing.